Pesquisar perto de mim
A aguardar a sua pesquisa
Voltar
Terreno para Construção em Alvelos Barcelos
Terreno para Construção em Alvelos Barcelos
Terreno para Construção em Alvelos Barcelos
Terreno para Construção em Alvelos Barcelos
Ver galeria (12)
Ver galeria (12)
Seguir
Partilhar

Terreno para Construção em Alvelos Barcelos

Braga, Barcelos, Alvelos Ver no mapa
400 000 €
0 Quartos
0 WC's
Certificação Energética: N/D
Estado: Usado

Descrição do anúncio

Terreno à Venda em Alvelos Barcelos - Oportunidade Única para Investidores

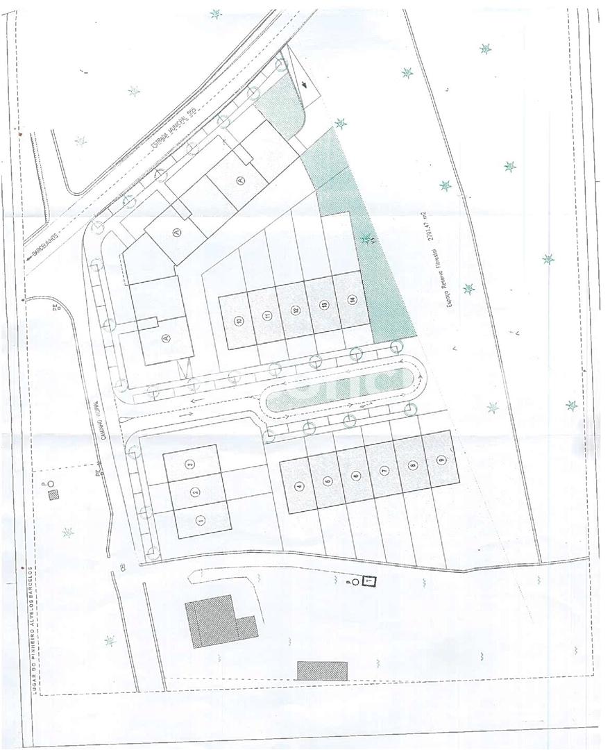
Apresentamos um terreno espetacular com uma área total de 11.005 m², localizado na charmosa freguesia de Alvelos.

Este terreno oferece um potencial incrível para desenvolvimento imobiliário, com um estudo já realizado para a construção de três blocos de moradias.

O Bloco 1 contempla 3 moradias de tipologia T3, o Bloco 2 possui 6 moradias de tipologia T3 e o Bloco 3 inclui 5 moradias de tipologia T3.

Além disso, o terreno conta com espaço para 3 lojas comerciais.

Com uma superfície edificável de 4.400 m², este terreno é ideal para investidores que buscam um projeto sólido e lucrativo.

A infraestrutura do local é completa, incluindo acesso a água, luz, rede de esgotos, iluminação pública e passeios.

A área é urbanizável e permite a construção de prédios unifamiliares, além de espaços comerciais e industriais.

Não perca esta oportunidade única de investir em um terreno com grande potencial de valorização.

Entre em contato conosco para mais informações e agende uma visita ao local.

Este é o momento perfeito para transformar seus sonhos em realidade e garantir um excelente retorno sobre o investimento.

Características Gerais

  • Acesso com Estrada
  • Não edificável

Galeria do imóvel

Terreno para Construção em Alvelos Barcelos
Terreno para Construção em Alvelos Barcelos
Terreno para Construção em Alvelos Barcelos
Terreno para Construção em Alvelos Barcelos
Terreno para Construção em Alvelos Barcelos
Terreno para Construção em Alvelos Barcelos

Localização do imóvel

Braga, Barcelos, Alvelos

Referência do anúncio: 2307BCL. Última atualização: 04 fevereiro 2026.

Relatório de preços praticados nos últimos 8 meses

Braga, Barcelos, Alvelos

Simule um Crédito Habitação

Os dados apresentados são meramente indicativos. Condições gerais
Seguir
Partilhar
Haconchego Imobiliária
AMI 20371
253 ...
Chamada para a rede fixa nacional
Mostrar número
Nome
Email
Contacto
Formato inválido
Agende uma visita
Referência do anúncio: 2307BCL.
Última atualização: 04 fevereiro 2026.
Contactar
Veja também
Anúncios na mesma zona
Loteamento em Escudereiros, Braga
Braga, Braga, Escudeiros e Penso (Santo Estêvão e São Vicente)
1 400 000 €
Terreno Para Construção Venda em Turiz,Vila Verde
Braga, Vila Verde, Turiz
87 500 €
Terreno Para Construção Venda em Lemenhe, Mouquim e Jesufrei,Vila Nova de Famalicão
Braga, Vila Nova de Famalicão, Lemenhe, Mouquim e Jesufrei
265 000 €
Terreno Para Construção Venda em Turiz,Vila Verde
Braga, Vila Verde, Turiz
110 000 €
Terreno de construção em vila verde – braga
Braga, Vila Verde, Aboim da Nóbrega e Gondomar
25 000 €
Terreno Para Construção Venda em Lage,Vila Verde
Braga, Vila Verde, Lage
65 000 €
Terreno Rústico Venda em Serzedelo,Póvoa de Lanhoso
Braga, Póvoa de Lanhoso, Serzedelo
18 800 €
Artigo Misto para Urbanização – 6.042 m² – Gualtar, Braga
Braga, Braga, Gualtar
1 100 000 €
Lote de Terreno Venda em Oliveira (Santa Maria),Vila Nova de Famalicão
Braga, Vila Nova de Famalicão, Oliveira (Santa Maria)
42 000 €
Terreno de construção - regadas fafe
Braga, Fafe, Regadas
47 500 €
Partilha o imóvel: Terreno para Construção em Alvelos Barcelos
Partilha este imóvel nas tuas redes sociais ou envia diretamente para o email dos teus amigos.
Partilhar por email
Adicione uma nota ao imóvel!
Só você é que vê as notas que adiciona. Os imóveis com notas ficam nos favoritos para os poder consultar mais tarde.
Excluíste o anúncio:
Terreno para Construção em Alvelos Barcelos